홍민어 효능 11가지와 부작용, 바다의 붉은 보석
- 건강
- 2024. 10. 29.
홍민어 효능 11가지와 부작용, 바다의 붉은 보석
홍민어는 고급 어종 중 하나로, 그 부드러운 식감과 풍부한 영양 덕분에 한국뿐만 아니라 전 세계적으로 사랑받는 생선입니다.
이 생선은 몸에 이로운 여러 성분이 포함되어 있어 다양한 건강상의 혜택을 제공합니다.
특히 회, 구이, 찜 등 다양한 요리로 활용할 수 있으며, 그 담백한 맛과 깊은 풍미는 많은 이들에게 인기를 끌고 있습니다.

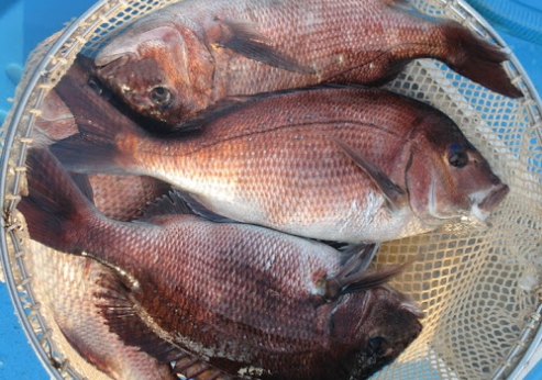
1. 홍민어의 생태와 특징
홍민어는 주로 따뜻한 해역에 서식하며, 몸 전체에 붉은 빛이 도는 것이 특징입니다.
이 어종은 크기가 크고 육질이 단단해 요리로 활용하기에 적합하며, 맛이 뛰어나기 때문에 고급 생선으로 여겨집니다.
홍민어는 주로 대서양, 태평양, 그리고 인도양의 따뜻한 지역에서 서식하며, 우리나라 남해안에서도 자주 어획됩니다.
2. 홍민어의 영양 성분
홍민어는 고단백 저지방 생선으로서, 특히 단백질 함량이 매우 높아 근육량을 유지하고 체력을 보강하는 데 좋습니다.
또한 오메가-3 지방산, 비타민 A, 비타민 D, 셀레늄, 칼슘과 같은 영양소들이 풍부하게 포함되어 있어 건강을 유지하는 데 많은 도움이 됩니다.
이러한 영양소들은 심혈관 건강, 면역력 강화, 피부 건강 등에 긍정적인 영향을 미칩니다.
3. 홍민어의 맛과 요리법
홍민어는 담백하고 고소한 맛을 자랑하며, 다양한 방식으로 요리할 수 있습니다.
한국에서는 주로 구이, 찜, 회로 즐기며, 특히 회로 먹을 때 그 쫄깃한 식감이 일품입니다.
또한 홍민어는 육질이 부드러워 찜이나 구이로 조리하면 깊고 진한 맛을 즐길 수 있습니다.
일본에서는 사시미로도 많이 소비되며, 그 신선한 맛을 제대로 느낄 수 있습니다.
구이로 먹을 때는 생선살의 고소함이 돋보이며, 찜으로 요리할 경우 육즙이 가득하여 입안 가득 풍미를 느낄 수 있습니다.
4. 홍민어의 경제적 가치
홍민어는 귀한 어종으로, 가격이 비교적 높은 편입니다.
특히 대형 홍민어는 고급 레스토랑에서 고가에 판매되며, 그 신선도와 크기에 따라 가격이 달라집니다.
홍민어는 다른 생선에 비해 어획량이 적어 그만큼 귀하게 여겨지며, 건강에 유익한 성분이 많이 함유되어 있어 고급 요리 재료로서 널리 사용됩니다.
5. 홍민어의 전통적 의미
홍민어는 오래전부터 한국의 전통적인 요리 재료로 사용되어 왔으며, 예로부터 중요한 행사나 축제에서 대접받는 귀한 음식이었습니다.
그 붉은 색상은 부와 번영을 상징하여 결혼식, 명절과 같은 특별한 자리에서 자주 등장하였습니다.
오늘날에도 홍민어는 보양식이나 고급 요리에서 중요한 자리를 차지하며, 특별한 날에 자주 즐겨 먹는 생선 중 하나입니다.
홍민어 효능 11가지
1. 고단백 저지방 식품
홍민어는 단백질이 풍부하면서도 지방이 적어 체중 관리와 근육 강화에 적합한 식품입니다.
특히 운동 후 단백질 보충에 도움이 되며, 저칼로리 식품으로 다이어트에도 유리합니다.
2. 심혈관 건강 증진
홍민어에는 오메가-3 지방산이 다량 포함되어 있어, 혈압을 낮추고 콜레스테롤 수치를 조절하는 데 도움이 됩니다.
심장 질환 예방에 효과적이며, 혈액 순환을 개선해 전반적인 심혈관 건강에 유익합니다.
3. 항산화 효과
홍민어에는 비타민 E와 셀레늄 같은 항산화 성분이 포함되어 있어, 체내에서 활성산소를 제거하고 세포 손상을 방지하여 노화를 늦추고 질병을 예방하는 데 도움을 줍니다.
4. 피부 건강 개선
비타민 E와 오메가-3 지방산은 피부 건강에 긍정적인 영향을 미칩니다.
피부 세포 재생을 촉진하고, 피부 노화를 방지하며, 피부에 수분을 공급해 건강하고 탄력 있는 피부를 유지하는 데 도움을 줍니다.
5. 눈 건강 보호
홍민어에는 비타민 A가 풍부해 눈 건강을 보호하는 데 효과적입니다.
시력을 유지하고, 눈의 피로를 줄이며, 야맹증과 같은 눈 질환을 예방하는 데 기여할 수 있습니다.
6. 면역력 강화
홍민어에는 면역 체계를 강화하는 데 중요한 비타민과 미네랄이 다량 포함되어 있습니다.
비타민 A와 셀레늄은 감염과 염증을 예방하며, 면역력을 높이는 데 기여합니다.
7. 항염 작용
홍민어의 오메가-3 지방산은 염증을 억제하는 항염 작용이 있습니다.
관절염과 같은 염증성 질환을 예방하고, 염증으로 인한 통증을 줄이는 데 도움이 됩니다.
8. 뼈 건강 증진
홍민어에는 칼슘과 비타민 D가 포함되어 있어, 뼈의 강도를 유지하고 골다공증을 예방하는 데 도움을 줍니다.
특히 노년층이나 성장기의 어린이들에게 적합한 식품입니다.
9. 간 건강 보호
홍민어는 간 기능을 보호하고, 간의 해독 작용을 촉진하는 데 도움을 줍니다.
간 건강을 유지하여 피로 해소와 알코올 해독에도 긍정적인 영향을 미칩니다.
10. 두뇌 기능 향상
홍민어에 포함된 오메가-3 지방산은 뇌 기능을 개선하는 데 중요한 역할을 합니다.
기억력과 집중력을 강화하고, 치매와 같은 신경 질환을 예방하는 데 도움을 줍니다.
11. 피로 회복
홍민어는 비타민 B군이 풍부하여 피로 회복에 효과적입니다.
체력과 에너지를 보충해 일상 생활에서 피로를 줄이는 데 도움을 줄 수 있습니다.

홍민어의 부작용
1. 알레르기 반응
홍민어를 포함한 어류에 알레르기가 있는 사람들은 섭취 시 알레르기 반응을 경험할 수 있습니다.
피부 발진, 두드러기, 호흡 곤란과 같은 증상이 나타날 수 있으며, 심한 경우 즉각적인 치료가 필요할 수 있습니다.
2. 중금속 오염 위험
홍민어는 바다에서 자라는 어류로, 수은과 같은 중금속에 오염될 가능성이 있습니다.
임산부나 어린이들은 중금속 축적을 피하기 위해 과다 섭취를 피하는 것이 좋습니다.
3. 소화 불량
홍민어를 과도하게 섭취하면 소화 불량이나 복통을 유발할 수 있습니다.
특히 기름진 요리로 조리할 경우 이러한 부작용이 더 심해질 수 있으므로 적절한 양을 섭취하는 것이 중요합니다.
'건강' 카테고리의 다른 글
| 달개비 효능 11가지와 부작용, 자연이 준 청초한 보물 (0) | 2024.10.31 |
|---|---|
| 참소리쟁이 효능 11가지와 부작용, 자연의 강력한 치유제 (0) | 2024.10.30 |
| BNR17 유산균, 장 건강과 체중 감량에 좋은 이유 5가지 (0) | 2024.10.28 |
| 쑥 효능 11가지와 부작용, 자연의 치유력 (0) | 2024.10.27 |
| 농어 효능 11가지와 부작용, 바다의 영양 보고 (0) | 2024.10.26 |